Listing Tools

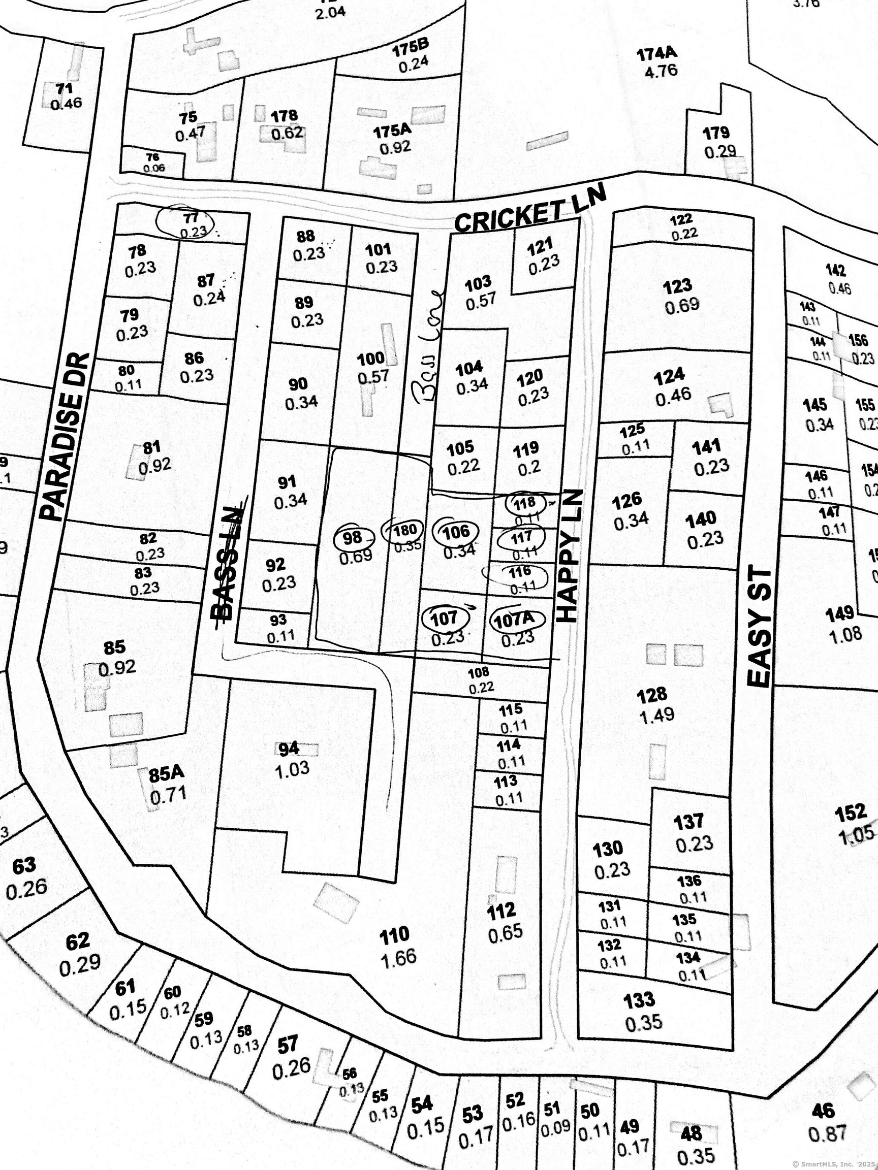
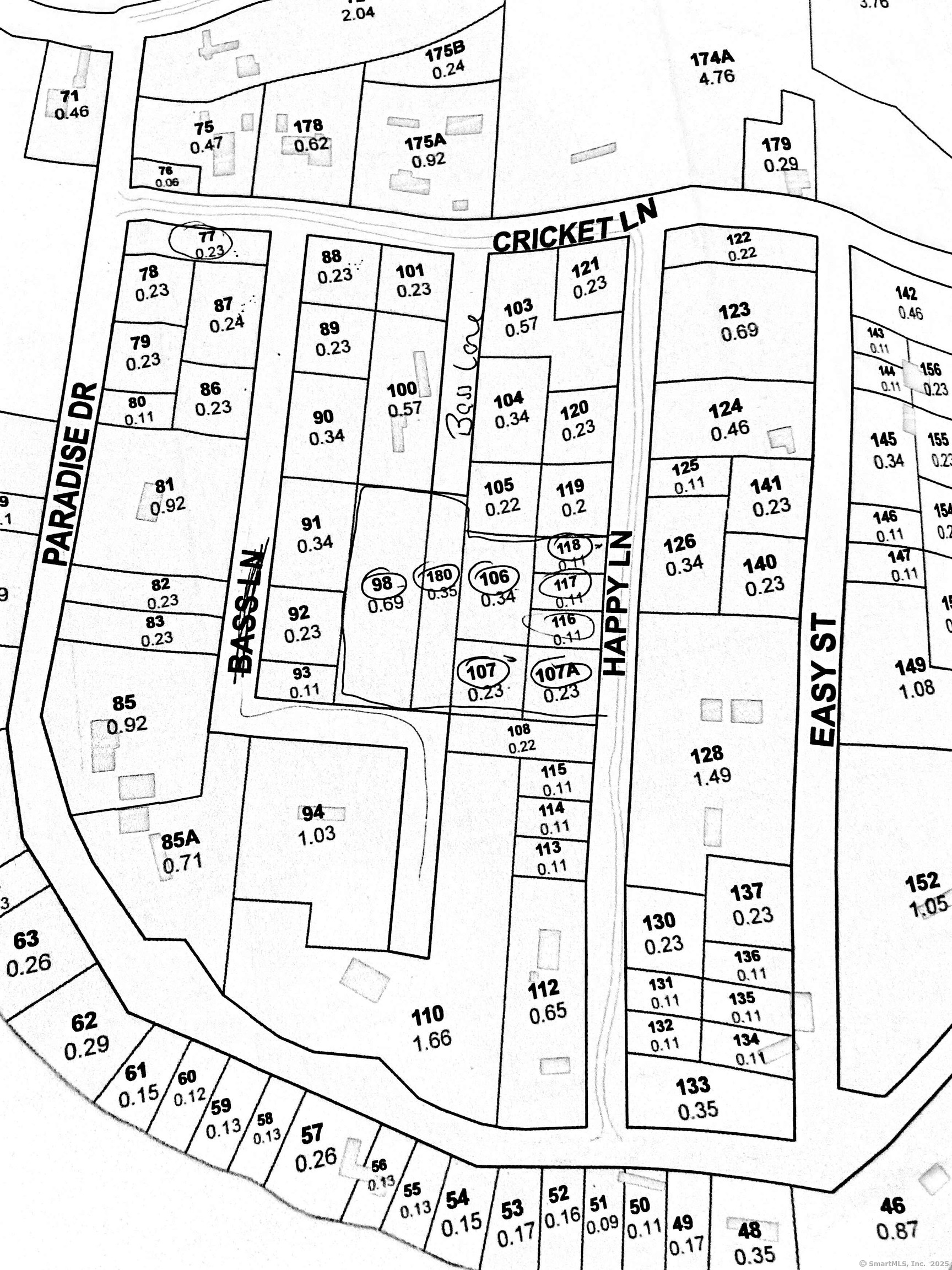
Welcome to 26 Bass Lane. Total package consist of 8 lots consisting of 1.83 acres combined. Roughly 250 feet road frontage on Happy Lane while 26 Bass lane is the interior property sharing the road with just one other house. Property has been used for gardening and raising sheep. Mostly cleared dry, high and level land. Two sheds will remain. If you're looking for a quiet, spacious lot with lots of privacy this is it. Reference Brooklyn Assessors Map #49. Lots 98, 106, 107, 107A, 116, 117, 118 & 180. Tax and assessment in listing only represent lot 180.

Property Details of 26 Bass Lane

Map Location

Driving Directions

Listed by Catherine Howard of Berkshire Hathaway NE Prop. ((860) 234-2901)

The data relating to real estate for sale on this website appears in part through the SmartMLS Internet Data Exchange program, a voluntary cooperative exchange of property listing data between licensed real estate brokerage firms, and is provided by SmartMLS through a licensing agreement. Listing information is from various brokers who participate in the SmartMLS IDX program and not all listings may be visible on the site. The property information being provided on or through the website is for the personal, non-commercial use of consumers and such information may not be used for any purpose other than to identify prospective properties consumers may be interested in purchasing. Some properties which appear for sale on the website may no longer be available because they are for instance, under contract, sold or are no longer being offered for sale. Property information displayed is deemed reliable but is not guaranteed. Copyright 2026 SmartMLS, Inc.

Hi there! How can we help you?

Contact us using the form below or give us a call.

Send Us A Message:

I agree to be contacted by Jeanne Crum via call, email, and text for real estate services. To opt out, you can reply 'stop' at any time or reply 'help' for assistance. You can also click the unsubscribe link in the emails. Message and data rates may apply. Message frequency may vary. Privacy Policy.

Do not fill in this field:

This site is protected by reCAPTCHA and the Google Privacy Policy and Terms of Service apply.