Listing Tools

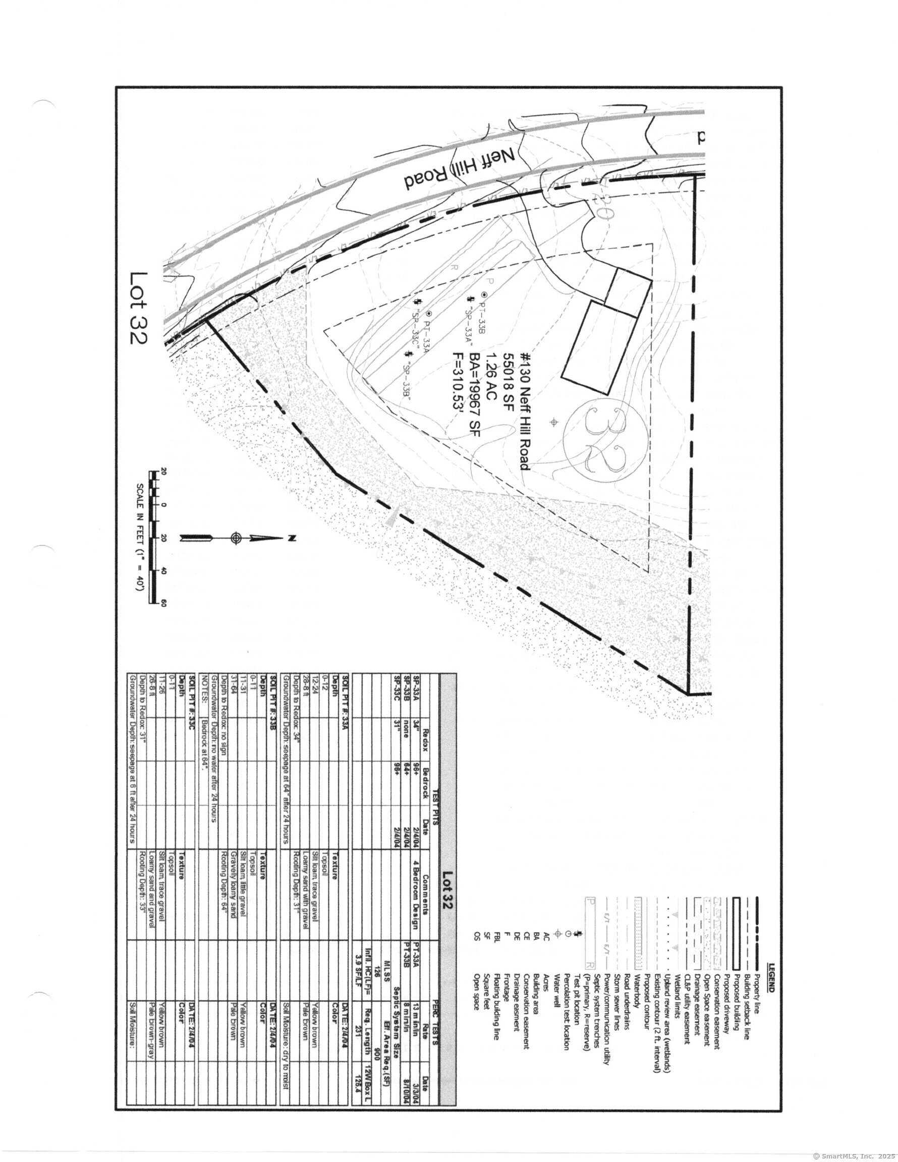
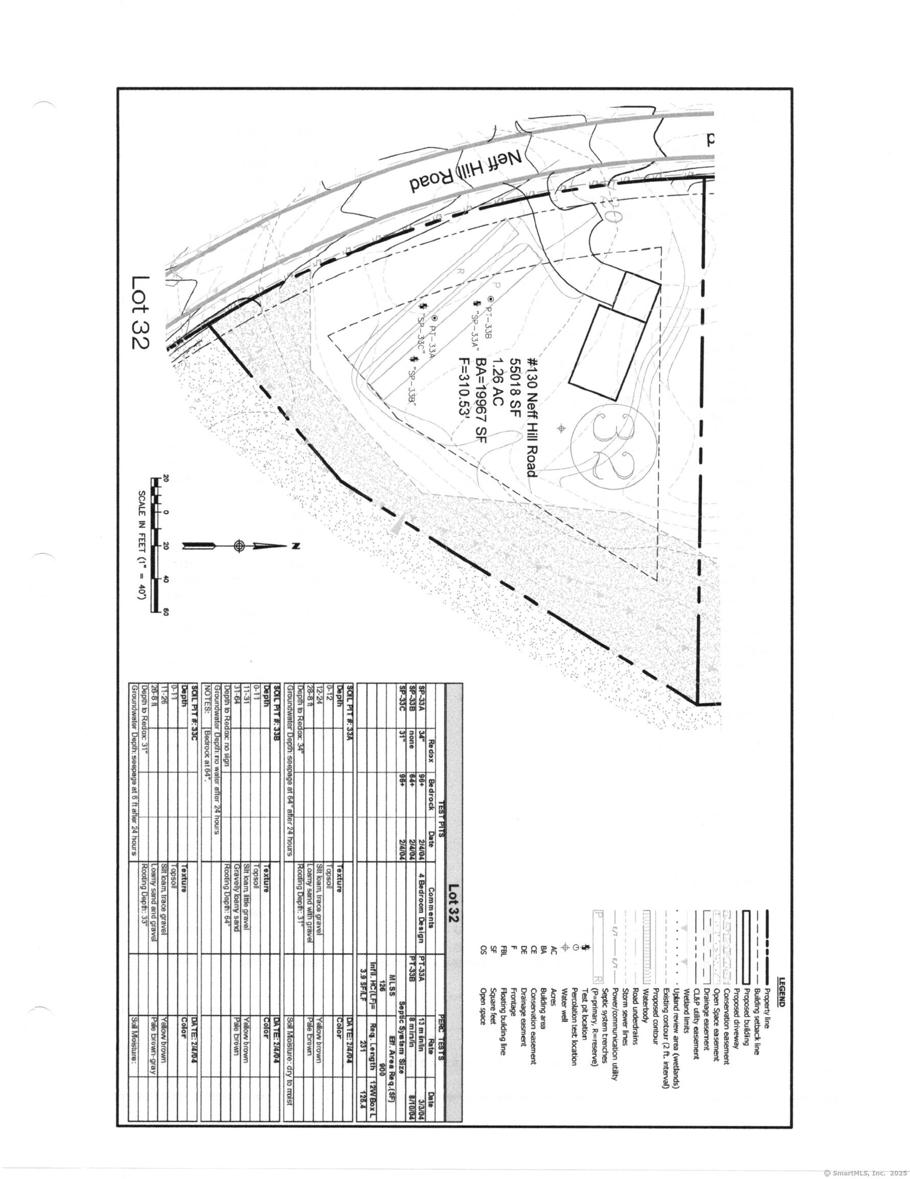
BUILD YOUR DREAM HOME...Lot 32...OWL RIDGE (formerly Carriage Crossing) a 45 lot subdivision in a forested area...166 acres with 45 homesites...lot sizes range from an acre plus to six acres plus...8 to 10 miles to I-84 and approximately 30 minutes to Downtown Hartford...UCONN is only 15 minutes away...utilities are available and the lot is shovel ready and needs only your builder to get started...ONLY 12 LOTS STILL AVAILABLE IN THIS 45 LOT SUBDIVISION.

Property Details of 130 Neff Hill Road

Map Location

Driving Directions

Listed by Andy Cline of McCavanagh Real Estate ((860) 716-3118)

The data relating to real estate for sale on this website appears in part through the SmartMLS Internet Data Exchange program, a voluntary cooperative exchange of property listing data between licensed real estate brokerage firms, and is provided by SmartMLS through a licensing agreement. Listing information is from various brokers who participate in the SmartMLS IDX program and not all listings may be visible on the site. The property information being provided on or through the website is for the personal, non-commercial use of consumers and such information may not be used for any purpose other than to identify prospective properties consumers may be interested in purchasing. Some properties which appear for sale on the website may no longer be available because they are for instance, under contract, sold or are no longer being offered for sale. Property information displayed is deemed reliable but is not guaranteed. Copyright 2025 SmartMLS, Inc.

Hi there! How can we help you?

Contact us using the form below or give us a call.

Send Us A Message:

I agree to be contacted by Jeanne Crum via call, email, and text for real estate services. To opt out, you can reply 'stop' at any time or reply 'help' for assistance. You can also click the unsubscribe link in the emails. Message and data rates may apply. Message frequency may vary. Privacy Policy.

Do not fill in this field:

This site is protected by reCAPTCHA and the Google Privacy Policy and Terms of Service apply.